As­sai­nir pour ha­bi­ter

Le sous-sol suisse compte plusieurs dizaines de milliers de sites pollués. Si leur assainissement a un coût, il permet également de requalifier d’anciennes zones industrielles aujourd’hui idéalement situées dans les grandes agglomérations. Zoom sur un projet en cours à Bussigny.

Publikationsdatum
17-07-2019

Afin de pallier une pénurie de nouveaux logements, la commune de Bussigny (VD) a décidé en 2007 de requalifier en zone mixte habitation/artisanat la zone industrielle située entre la ligne CFF et la rue de l’Industrie, à l’est de la gare CFF (projet PPA Industrie). Ce projet implique la démolition des constructions existantes et l’excavation du terrain sur 3-4 m de profondeur pour la construction des sous-sols des nouveaux bâtiments. Les parcelles concernées étant toutes inscrites, à des degrés divers, au cadastre vaudois des sites pollués, leurs propriétaires ont dû évaluer l’impact de leurs projets sur le statut OSites des parcelles (voir encadré) ainsi que les coûts d’un éventuel assainissement et de gestion des terres polluées à excaver.

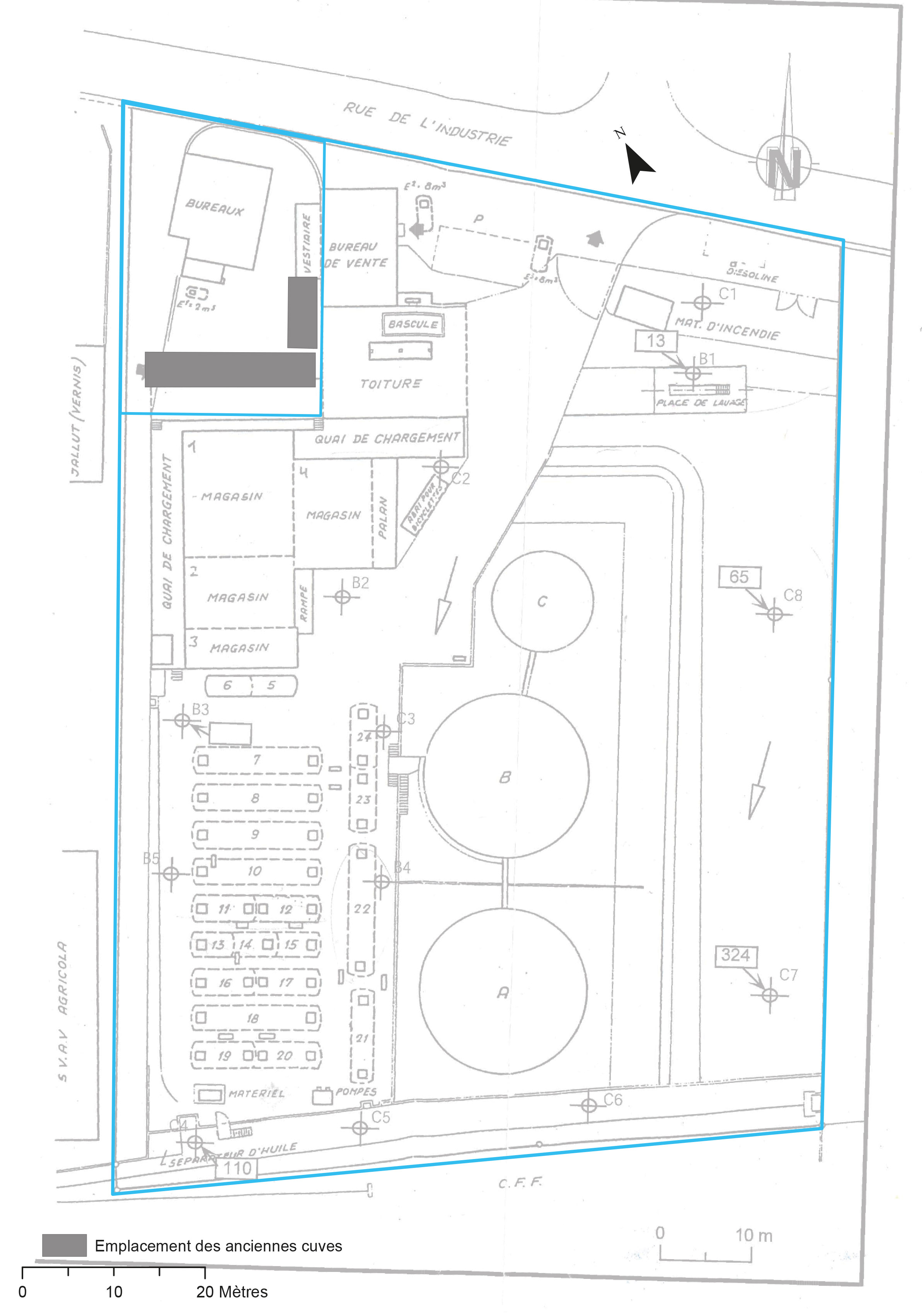
Entre les années 1930 et 1990, la parcelle centrale (631, fig. 2) a accueilli un dépôt d’hydrocarbures. Des hydrocarbures pétroliers, principalement, y étaient stockés dans trois réservoirs aériens et neuf réservoirs enterrés. Une unité de distribution de carburants est venue s’y ajouter plus tard, au niveau de la rue de l’Industrie (parcelle 618). Le sous-sol de la parcelle 631 est composé de matériaux glaciolacustres (argiles et limons) surmontant la Molasse d’eau douce du Chattien (alternance de marnes et de grès). Il n’y a pas de nappe phréatique, mais des venues d’eau s’observent aux interfaces de perméabilité. Une étude historique réalisée en 2003 faisait état d’un risque restreint de pollution du sous-sol. Deux autres études, menées en 2004, relevaient une pollution aux hydrocarbures au niveau des réservoirs aériens et de leur bac de rétention. Ces études concluaient qu’aucune opération urgente d’assainissement ne s’imposait. Le projet de logements planifié dans le cadre du PPA Industrie nécessitait des investigations supplémentaires au sens de l’OSites et de l’Ordonnance sur les déchets (OLED). 

Les études de 2003 et 2004 ont servi de guide aux investigations réalisées sur les parcelles 631 et 618 en février 2018. Celles-ci ont consisté en la réalisation de 22 fouilles menées à la pelle mécanique jusqu’à une profondeur de 4,5 m et dans lesquelles des échantillons terreux ont été prélevés pour analyse. Les paramètres suivants ont été recherchés : hydrocarbures aromatiques polycycliques (HAP), hydrocarbures C10-C40, hydrocarbures C5-C10, benzène, toluène, éthylbenzène et xylène (BTEX), métaux (Sb, As, Pb, Cd, Cr tot, Cr(VI), Cu, Ni, Zn), sels dissous, cyanures totaux, fluorures, nitrites, ammonium, solvants chlorés volatils, polychlorobiphényls (PCB).

Le contrôle de la qualité de l’air interstitiel du sol s’est fait au moyen de six sondages sol-gaz à 1,5 m de profondeur dans lesquels les analyses suivantes ont été réalisées : CO2, essence, essence minérale légère, méthane, composés organiques chlorés, BTEX, HAP.

L’analyse de la qualité des eaux souterraines a été effectuée au moyen de piézomètres. Les échantillons d’eau prélevés ont été analysés pour les paramètres suivants : HAP, hydrocarbures C5-C10, BTEX, MTBE, solvants chlorés, PCB.

Ces investigations ont permis d’observer plusieurs foyers de pollution, notamment au niveau du parc des cuves enterrées et en limite est de parcelle. Partiellement inclus dans le plan prévisionnel de terrassement, ces secteurs nécessitent une dépollution. Les analyses de l’air interstitiel n’ont montré aucune concentration problématique aux points de prélèvement du point de vue des risques pour la santé des futurs occupants.

Quels impacts sur le projet de construction ?

Le projet de construction initial implique l’excavation de quelque 20 000 m3 de matériaux solides. La partie centrale du tènement devrait être conservée et rehaussée en vue de la création d’un espace récréatif. Les questions ouvertes portent donc sur la nécessité d’assainissement en vue du projet (et celle de l’entrave à un assainissement ultérieur) et sur les surcoûts liés à la gestion des futurs déblais au regard de leur qualité.

De par le besoin d’excaver, le projet d’aménagement nécessitera de facto une purge partielle des secteurs pollués et permettra directement d’assainir en grande partie le sous-sol. La question des coûts est, elle, plus complexe : le traitement des matériaux pollués sur site permet de minimiser les surcoûts mais l’espace et la durée de stockage empiètent sur le chantier et risquent d’interférer avec le calendrier des travaux. A contrario, le traitement hors site, la mise en décharge ou la valorisation en cimenterie augmentent les coûts de traitement mais n’empiètent pas sur le chantier.

La question des coûts est centrale dans un tel projet où le maître d’ouvrage tenait à effectuer ces travaux afin de pouvoir sortir la parcelle du cadastre des sites pollués. Même sans la nécessité d’un assainissement, une inscription diminue la valeur d’une parcelle et des bâtiments qui s’y trouvent. Mais la dépollution a elle aussi un coût. Il convient donc de trouver le bon équilibre, tout en sachant qu’un projet d’assainissement comporte inévitablement une part d’incertitudes. Dans le cas présent, les travaux entrepris sur les parcelles 631 et 618 ont montré une pollution plus faible qu’attendue au vu de l’historique du site. Les travaux préliminaires sur la parcelle adjacente où se trouvait une unité de distribution de carburants indiquent en revanche le contraire : la pollution y est vraisemblablement plus importante que ce que pouvait laisser supposer la taille réduite des cuves et la plus courte durée de l’activité. Dans ce secteur, il y a aussi l’influence d’un ancien stockage de pétrole. Les limites légales applicables y sont donc plus basses car il s’agit d’hydrocarbures de type C5-C10 et non pas de C10-C40. Contrôler les coûts tout en assurant la conformité environnementale et la sécurité passe par un suivi continu au pied de pelle afin de bien trier les matériaux, et par l’utilisation de moyens de mesure de terrain correctement calibrés. •

 

Notes

Les sites contaminés sont des sites pollués qui sont à l’origine d’atteintes nuisibles ou incommodantes à l’environnement, ou qui risquent de l’être un jour, et nécessitant en conséquence d’être assainis.

 

Les sites pollués en Suisse

En Suisse, la gestion des sites pollués se base sur l’ordonnance sur l’assainissement des sites pollués (OSites) du 26 août 1998 qui règle l’application des articles y relatifs de la loi sur la protection de l’environnement (LPE) du 7 octobre 1983. L’OSites imposait aux cantons de recenser les sites pollués jusqu’à fin 2003 dans un cadastre accessible au public. Selon cette ordonnance, un site est considéré comme contaminé lorsqu’il présente :

  • des atteintes provenant de déchets, causées par :
  • un dépôt de déchets (site de stockage définitif) ;
  • des pertes survenues lors de la manipulation, dans des entreprises, de substances dangereuses pour l’environnement (aires d’exploitation) ;
  • des accidents avec des substances dangereuses pour l’environnement (lieux d’accidents) ;
  • une extension limitée.

Sur la base de cette définition et des différents cadastres, l’Office fédéral de l’environnement recense environ 38 000 sites pollués en Suisse. 4000 sont considérés comme contaminés1. Les sites pollués sont d’anciennes décharges (près de 40 %), des aires industrielles (près de 50 %), des installations de tirs (environ 10 %) ou encore des lieux d’accident (environ 1 %). PM

Magazine